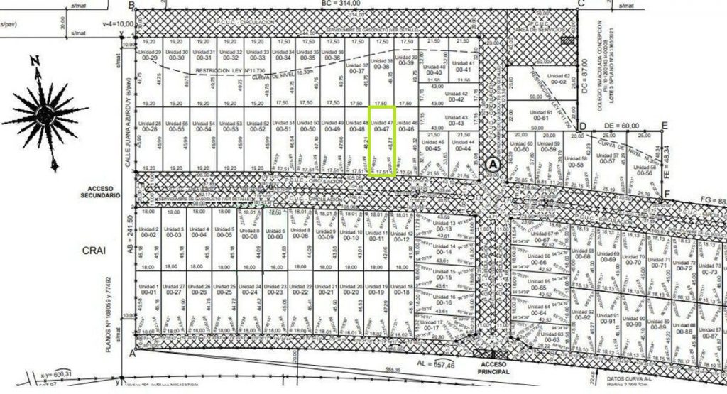
SE VENDE TERRENO EN SOLARES DE PAUCKE
Lote 47, terreno de 17.50 mts de frente por 48.77 mts de fondo.
El lote se encuentra muy bien ubicado y próximo al ingreso. El country cuenta con SUM, área de deportes, bajada de lancha, sectores de esparcimiento, y todo lo que se necesitas para un lugar ideal.

